Canon Ixus 65

  • Αγαπητοί φίλοι

    Με ιδιαίτερη χαρά σας προσκαλούμε στην κοπή της πρωτοχρονιάτικης πίτας του AVClub για το 2026

    Την Κυριακή, 1/3/2025 και ώρα 13:30 στο εστιατόριο  "Το Ψαρονέφρι" θα πραγματοποιήσουμε την κοπή της Πρωτοχρονιάτικης πίτας μας για το 2026.

    Το εστιατόριο βρίσκεται στο Μαρούσι, Πέλικα 64, Τηλ.: 210 2824531

    Δηλώστε τη συμμετοχή σας εδώ, θα χαρούμε πολύ να σας δούμε από κοντά.

Ετσι οπως τα λες ειναι. Ειμαι ομως προσεκτικος , γιατι πιστεψε με αξιζει τον κοπο.

Ουτως η αλλος το ιδιο ισχυει, περιπου, και αμα παρεις μια 42αρα τηλεοραση αντι για 32αρα.........και εχεις παιδια στο σπιτι ............
 
Re: Απάντηση: Canon Ixus 65

Browser said:
Πριν λιγες μερες τελικα την παρελαβα. Απιστευτα καλοφτιαγμενη θηκη, με χρηση ολων των πληκτρων εξωτερικα της, δηλαδη και μεσα στο νερο.

Μολις μπορεσω θα βαλω φωτο ....
Χρήστο, μια και έχω μείνει με την απορία πως πήγε η υποβρύχια φωτογράφηση έχεις κανένα δείγμα ? χώρια που το καλοκαίρι δεν κατάφερα να αγοράσω μηχανή και τώρα κοιτώντας με αρκετά καλύτερη τιμή λόγω καινούργιων μοντέλων (τη βρίσκω στα 270 Ε ) έχω αρχίσει να καλοβλέπω την Ixus 65 (και τα 6Mp είναι πολλά για τη χρήση που θέλω) … για κάνε ένα update…
 
Απάντηση: Re: Απάντηση: Canon Ixus 65

GeonX said:
Χρήστο, μια και έχω μείνει με την απορία πως πήγε η υποβρύχια φωτογράφηση έχεις κανένα δείγμα ? χώρια που το καλοκαίρι δεν κατάφερα να αγοράσω μηχανή και τώρα κοιτώντας με αρκετά καλύτερη τιμή λόγω καινούργιων μοντέλων (τη βρίσκω στα 270 Ε ) έχω αρχίσει να καλοβλέπω την Ixus 65 (και τα 6Mp είναι πολλά για τη χρήση που θέλω) … για κάνε ένα update…


Καλημερα..

Γιωργο εχεις δικιο. Το ξεχασα τελειως.

Οριστε μερικα δειγματα απο αρκετες "καταστασεις" για να βγαλεις τα συμπερασματα σου !!-bye-
 

Attachments

  • IMG_0023 (Medium).JPG
    IMG_0023 (Medium).JPG
    51.8 KB · Views: 15
  • IMG_0025 (Medium).JPG
    IMG_0025 (Medium).JPG
    64.6 KB · Views: 16
  • IMG_0027 (Medium).JPG
    IMG_0027 (Medium).JPG
    95.1 KB · Views: 15
  • IMG_0047 (Medium).JPG
    IMG_0047 (Medium).JPG
    94.6 KB · Views: 17
..........μαλιστα, μολις ειδα οτι δεν μπορω να ανεβασω αλλες φωτο διοτι το οριο μου εξαντληθηκε.........!! (13,5mb).........
 
Νίκος Μπαβιόλης said:
Ελα γκρινιαρη προχωρα....

Thanks -bye-


συνεχιζω.....
 

Attachments

  • IMG_0085 (Medium).JPG
    IMG_0085 (Medium).JPG
    47.5 KB · Views: 21
  • IMG_0078 (Medium).JPG
    IMG_0078 (Medium).JPG
    50.9 KB · Views: 19
  • IMG_0066 (Medium).JPG
    IMG_0066 (Medium).JPG
    68.2 KB · Views: 22
  • IMG_0058 (Medium).JPG
    IMG_0058 (Medium).JPG
    99.3 KB · Views: 13
  • IMG_0053 (Medium).JPG
    IMG_0053 (Medium).JPG
    74 KB · Views: 18
..κι αλλες....



.
 

Attachments

  • IMG_0148 (Medium).JPG
    IMG_0148 (Medium).JPG
    94.2 KB · Views: 14
  • IMG_0094 (Medium).JPG
    IMG_0094 (Medium).JPG
    62.2 KB · Views: 23
  • IMG_0092 (Medium).JPG
    IMG_0092 (Medium).JPG
    54.9 KB · Views: 19
  • IMG_0090 (Medium).JPG
    IMG_0090 (Medium).JPG
    100.7 KB · Views: 17
  • IMG_0086 (Medium).JPG
    IMG_0086 (Medium).JPG
    73.8 KB · Views: 23
.............
 

Attachments

  • IMG_0155 (Medium).JPG
    IMG_0155 (Medium).JPG
    62.8 KB · Views: 11
  • IMG_0210 (Medium).JPG
    IMG_0210 (Medium).JPG
    33.9 KB · Views: 10
  • IMG_0224 (Medium).JPG
    IMG_0224 (Medium).JPG
    76.6 KB · Views: 14
  • IMG_0243 (Medium).JPG
    IMG_0243 (Medium).JPG
    76.3 KB · Views: 11
  • IMG_0266 (Medium).JPG
    IMG_0266 (Medium).JPG
    56.3 KB · Views: 11
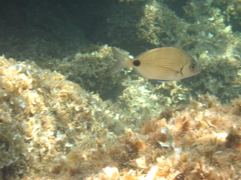
Προσπαθησα να βαλω διαφορα δειγματα, για να μπορεσεις να εχεις overall αποψη για τη μηχανουλα.......

Πιστευω οτι θα σου κανει ολα τα χατηρια, οπως μου τα εκανε κι εμενα.

Δεν ξερω αν η φωτο ειναι καλες απο τεχνικης αποψης, παντως εμενα με ικανοποιει !!

Να σημειωσω οτι οι underwater, θελουν πολυ χερι και ηρεμια, διοτι παντα εισαι στο ελεος του κυματος...........!!!

Περιμενω τα σχολια σας.....

( οι φωτο ειναι απειραχτες, εχουν γινει μονο resize σε 800 600 με τη χρηση των windows , ξερετε, το αυτοματο που εχει πατωντας δεξι κλικ πανω στο αρχειο και επιλεγοντας resize pictures )
 
Last edited:
Για τις underwater κάνε μια δοκιμούλα.
Photoshop καί Adjust color και levels. Θα εκπλαγείς.
icon6.gif
 
Τhanks για τη συμβουλη Μπαμπης, αλλα ειμαι λιγο πιο πολυ της "αναμνηστικης" παρα της "καλιτεχνικης-τεχνικης" φωτογραφιας.
 
Re: Απάντηση: Canon Ixus 65

Νίκος Μπαβιόλης said:
οι underwater ειναι ολα τα λεφτα....

Yπέροχη επιλογή να μπορείς να φωτογραφίζεις κάτω από το νερό... Kαι το βράδυ να δώ με τριποδάκι στον πάτο της θάλασσας...:flipout: :grinning-smiley-043